大宮小学校近くの土地
売地
- メールで問い合わせる(無料)
- ※空室状況、物件見学、内覧予約など
- 常盤住宅サービス株式会社
- お急ぎの方はお電話で
0985-29-7777 - 物件番号 │ 0656010315
-
地図
-
ストリートビュー
-
動画
-
VR
※写真と現況が異なる場合は現況優先とします。
- オススメポイント
- 地型は少々悪いですが、更地前は平家建がありました。
68坪あり設計次第では建物がしっかり入ります。
大宮小学校やヤマダ電機・コープ等が近く生活に便利なエリアです。
新築用地におすすめです。
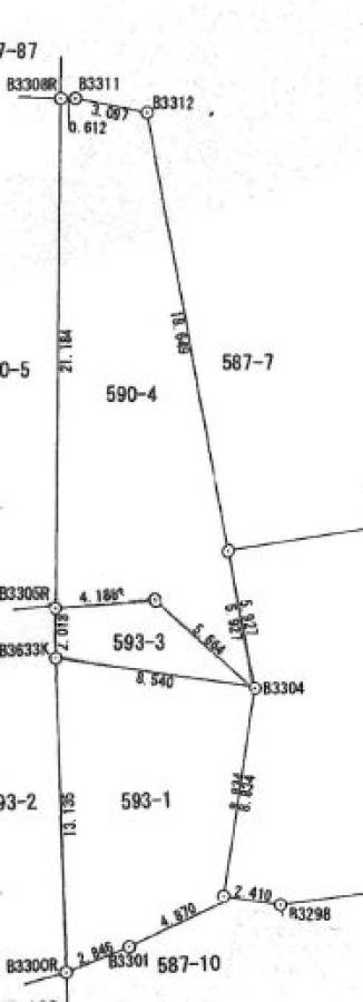
| 所在地 | 宮崎市下北方町野田590-4593-1、593-3 | ||
|---|---|---|---|
| 土地権利 | 所有権 | 坪単価 | 24.2 万円 |
| 私道面積 | 地目 | 宅地 | |
| 都市計画 | 市街化 | 用途地域 | 第2種住居地域 |
| セットバック | 無 | 容積率 | 200% |
| 建ぺい率 | 60% | ||
| 駅 | JR 宮崎神宮駅(徒歩14分) | ||
| バス停 | 南花ヶ島バス停(徒歩6分) | ||
| 著名施設 | |||
| スーパー | 930 m (ショッピングくすめぎ) | コンビニ | 280 m (セブン-イレブン 宮崎花ケ島町店) |
| ドラッグストア (薬局) |
550 m (ドラッグストア マツモトキヨシ 花ヶ島店) | 総合病院 | 600 m (いれば屋石井) |
| 公園 | 80 m (下北方緑地広場) | 銀行 | 450 m (宮崎太陽銀行 花ケ島支店) |
| 病院(内科) | |||
| 校区 | 宮崎市立大宮小学校(740m) / 宮崎市立大宮中学校(1360m) | 取引態様 | 一般媒介 |
| 仲介手数料 | |||
| 接道状況 | 一方 | 種別/接面 | 公道 / |
| 接道1(向/幅) | 西 / 43.0m | ||
| 接道2(向/幅) | |||
| 引渡期間 | 即時 | 現況 | 更地 |
| 設備 | 水道(公営)排水(下水) | ||
| 投資金額 | 満室時 | ||
| 現状 | |||
| 一般備考 | ※現状有姿渡し ※更地 |
||
| PRワード | 大宮小区50坪以上新築用地 | ||
| 物件更新日 | 2025年12月16日 | ||
- 宮崎の売買情報をシェアしよう!
- スマートフォンで物件情報を見る
- コードを読み取ることで、スマートフォンでもご覧頂けます。
- 宅地建物取引業 / 宮崎県知事(12)2755
- 常盤住宅サービス株式会社
- http://www.tokiwasre.jp
- 〒8800055 宮崎市南花ケ島町336-1第7常盤ビル 1F西
- 電話番号 : 0985-29-7777 FAX番号 : 0985-22-0702
- メールで問い合わせる(無料)
- ※空室状況、物件見学、内覧予約など
- 常盤住宅サービス株式会社
- お急ぎの方はお電話で
0985-29-7777 - 物件番号 │ 0656010315
親から子へ、子から孫へのお付き合い
環境造りと不動産の総合プランナー
不動産のことなら何でもご相談ください。
詳細につきましては、当社ホームページを是非ご覧ください。







よくある